In a viral video about Hurricane Milton, meteorologist John Morales who has been covering the weather for 40 years explains why he almost cried while covering the storm on live TV. The emotional clip of him being shocked by how quickly Milton became a Category 5 storm has garnered over 4 million views between X (formerly Twitter) and YouTube. Morales has since explained why he nearly broke down in tears in an interview on CNN.
Weatherman John Morales breaks down while covering Hurricane Milton
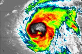
In the clip, Morales apologizes for getting emotional after explaining how Hurricane Milton was an “incredible, incredible, incredible hurricane” that in terms of pressure had “dropped 50 millibars in 10 hours” on Monday, October 7. He called the rapid intensification of the storm “horrific” as it gathered strength from the uncharacteristically warm waters in the Gulf.
As he explains in the interview, Morales said that this storm was a “confirmation” of everything scientists have warned about when it comes to climate change and how hurricanes like Milton have “wrecked so many lives.” He says his emotional reaction was due to “a mixture of empathy for those people” and “the angst of increasingly frequent and more severe extreme weather events.”
This is despite Morales being known as a “non-alarmist” weatherman over his 40-year career. However, the sheer number of multibillion-dollar disaster impacting The United States and countries all over the world has changed him “from a cool cucumber to somebody that’s certainly more agitated and in a bit of dismay.”
He points out that more “humble communities” in the Yucatan Peninsula of Mexico are an example of people who are being greatly impacted by climate change, though they have had little to do with injecting greenhouse gases into the atmosphere. He continues by saying that climate change “impacts disproportionately people in frontline communities.”
In a post on X at 6:52 AM ET on Wednesday, Morales said “not the news we wanted to wake up to” as Hurricane Milton was holding steady at a Category 5 intensity, despite it dropping to a Category 4 on Tuesday.
The Wednesday, 11 AM EDT advisory from the National Hurricane Center has since lowered the expected storm surge for Tampa Bay and Charlotte to 8-12 feet as Milton moves south. However, the coastline between those two cities are now from 10 to 15 feet as a result. The timeline for the hurricane still says that it will cross the state by late Thursday.
